Na początku sierpnia rozpisano przetarg, zakładając zakończenie robót w grudniu 2025 roku. Okazało się jednak, że nawet najniższa cena przewyższała zakładany budżet o około 45 tysięcy złotych. W tej sytuacji gmina nie mogła podpisać umowy. Analizowano możliwość negocjacji, ale ich czas oraz dodatkowa weryfikacja oferty nie pozwalały na dotrzymanie wcześniejszego harmonogramu. Dlatego zdecydowano się rozpocząć procedurę od nowa. Samorząd podkreśla jednak, że środki na budowę zostały już zabezpieczone.
Nowe postępowanie i harmonogram prac
Jeszcze w październiku ma zostać ogłoszony drugi przetarg, tym razem z wydłużonym terminem realizacji. Procedura wyboru wykonawcy powinna zakończyć się do końca roku, a boisko zacznie powstawać wiosną 2026 r. Przesunięte środki budżetowe pozwolą w pełni sfinansować zadanie, a dodatkowym wsparciem będzie 500 tysięcy złotych unijnej dotacji przyznanej w ramach Lokalnej Strategii Rozwoju Stowarzyszenia Perły Mazowsza.

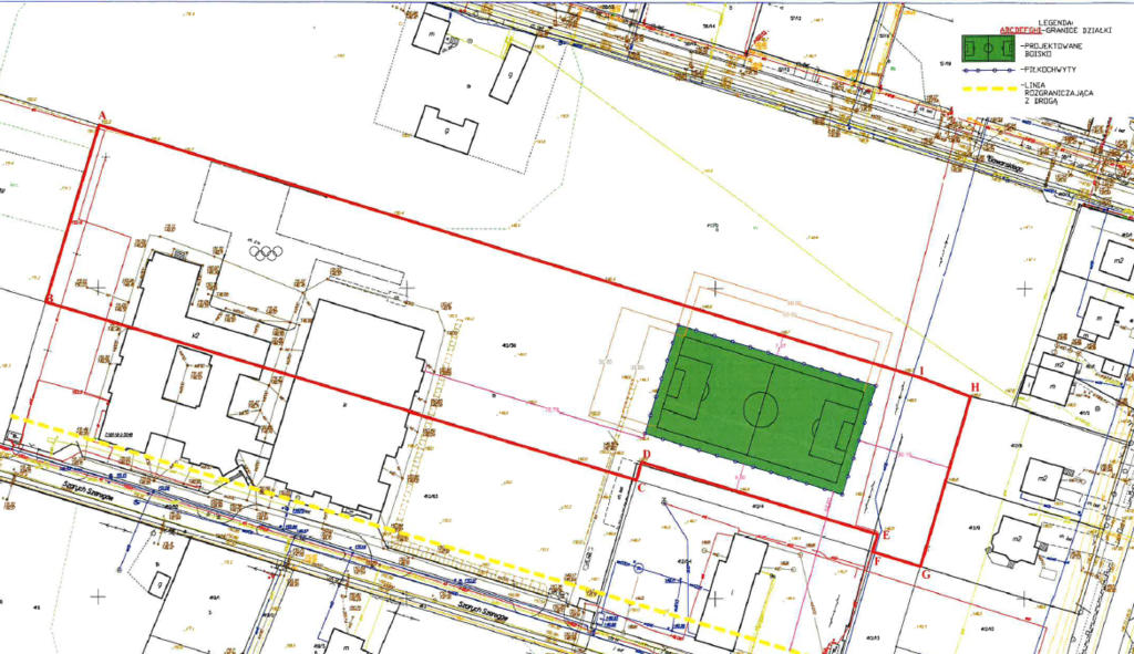
Projekt przewiduje budowę obiektu o nawierzchni syntetycznej, z boiskiem o wymiarach pola gry 60 na 30 metrów. Całość otoczona będzie piłkochwytami o wysokości 6 metrów. Dostęp ułatwi brama panelowa oraz furtka, a nowoczesne oświetlenie zamontowane na sześciu masztach pozwoli korzystać z boiska także wieczorami. Co ważne, zasilanie oświetlenia zostanie poprowadzone z istniejącej instalacji fotowoltaicznej działającej już na terenie szkoły.
Inwestycja dla wszystkich
Teren przyszłego boiska zostanie dostosowany do potrzeb osób z niepełnosprawnościami, co ma zapewnić jego pełną dostępność. Łączna wartość inwestycji to ponad 1,03 mln zł. Z tej kwoty połowę stanowi pozyskane dofinansowanie, a resztę środków gmina zabezpieczyła w swoim budżecie. Mimo przesunięcia terminu rozpoczęcia budowy, władze Tarczyna podkreślają, że jeszcze w 2026 roku uczniowie, sportowcy i mieszkańcy będą mogli korzystać z nowoczesnego i bezpiecznego obiektu.







![[NOWE INFORMACJE] Makabryczna zbrodnia w Raszynie! Zamordował byłą żonę, a później odebrał sobie życie na cmentarzu w Prażmowie [NOWE INFORMACJE] Makabryczna zbrodnia w Raszynie! Zamordował byłą żonę, a później odebrał sobie życie na cmentarzu w Prażmowie](https://static2.przegladpiaseczynski.pl/data/articles/sm-16x9-nowe-informacje-makabryczna-zbrodnia-w-raszynie-zamordowal-byla-zone-a-pozniej-odebral-sobie-zy-1778255434.jpg)


















![Odnowiony dworek w Lesznowoli już otwarty! [WIDEO]](https://static2.przegladpiaseczynski.pl/data/articles/sm-16x9-odnowiony-dworek-w-lesznowoli-juz-otwarty-1778858204.jpg)

Napisz komentarz
Komentarze